Historisches | LSAP aus den Flumserbergen

Lost Places im Schnee: Historische Seilbahnen, geschlossene Skigebiete (LSAP) und die Geschichte alter Liftanlagen in den Alpen.
Forumsregeln
Bitte beachte unsere Forum Netiquette
Benutzeravatar
Pilatus
Disteghil Sar (7885m)
Beiträge: 7955
Registriert: 30.11.2005 - 19:16
Skitage 25/26: 0
Ski: ja
Snowboard: nein
Hat sich bedankt: 491 Mal
Danksagung erhalten: 698 Mal

Historisches | LSAP aus den Flumserbergen

Beitrag von Pilatus »

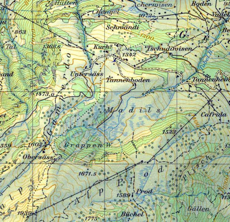
Ich habe hier grad eine Landkarte von 1956 vor mir. Da ist von der Tannbodenalp nach Obersäss ein Skilift eingezeichnet, welcher zuerst eine Kurve nach Rechts macht und dann eine nach Links. Gibt nicht grad viele Systeme die das können. Weiss jemand mehr?

Benutzeravatar
lift-master
Zugspitze (2962m)
Beiträge: 3047
Registriert: 22.11.2003 - 21:02
Skitage 25/26: 0
Ski: ja
Snowboard: nein
Ort: Zentralschweiz
Hat sich bedankt: 2 Mal
Danksagung erhalten: 14 Mal

Beitrag von lift-master »

oha,owbohl ich mittlerweile bestimmt 30 mal dort war,weiß ich nix von diesem llift,vieleicht ist es ja ne materialbahn fürs gasthaus chrüz gewesen?
...willst du die berge sehn,dann mußt du zum schi fahrn gehn...
Benutzeravatar
Pilatus
Disteghil Sar (7885m)
Beiträge: 7955
Registriert: 30.11.2005 - 19:16
Skitage 25/26: 0
Ski: ja
Snowboard: nein
Hat sich bedankt: 491 Mal
Danksagung erhalten: 698 Mal

Beitrag von Pilatus »

:nein: Ist totsicher ein Skilift.
Benutzeravatar
TPD
Moderator
Beiträge: 6783
Registriert: 09.03.2003 - 10:32
Skitage 25/26: 0
Ski: ja
Snowboard: nein
Ort: (Region Bern)
Hat sich bedankt: 296 Mal
Danksagung erhalten: 190 Mal
Kontaktdaten:

Beitrag von TPD »

Ist totsicher ein Skilift.
Sei vorsichtig mit Landkarten. Da stimmt auch nicht immer alles !
https://www.skichablais.net, seit 20 Jahren über Bergbahnen der Region Chablais und Umgebung.
Benutzeravatar
Pilatus
Disteghil Sar (7885m)
Beiträge: 7955
Registriert: 30.11.2005 - 19:16
Skitage 25/26: 0
Ski: ja
Snowboard: nein
Hat sich bedankt: 491 Mal
Danksagung erhalten: 698 Mal

Beitrag von Pilatus »

TPD hat geschrieben:
Ist totsicher ein Skilift.
Sei vorsichtig mit Landkarten. Da stimmt auch nicht immer alles !
Jaja, aber der hier ist schon ziemlich logisch an der Stelle. Steht glaub etwa dort wo heute die EUB ist. :)
Benutzeravatar
lift-master
Zugspitze (2962m)
Beiträge: 3047
Registriert: 22.11.2003 - 21:02
Skitage 25/26: 0
Ski: ja
Snowboard: nein
Ort: Zentralschweiz
Hat sich bedankt: 2 Mal
Danksagung erhalten: 14 Mal

Beitrag von lift-master »

also es hat früher glaub ein esl zum maschgenkamm gegeben,evt. sind es teilsektionen davon.
...willst du die berge sehn,dann mußt du zum schi fahrn gehn...
Benutzeravatar
rabiator
Vogelsberg (520m)
Beiträge: 687
Registriert: 10.12.2006 - 14:03
Skitage 25/26: 0
Ski: ja
Snowboard: nein
Ort: Bernau am Chiemsee
Hat sich bedankt: 0
Danksagung erhalten: 0

Beitrag von rabiator »

Wenn du den plan ja hast, kannst du ihn ja auch gleich fotografieren und hier reinmachen!!!
Bild
Meine Skitage:

Bild
↓ Mehr anzeigen... ↓
Benutzeravatar
lift-master
Zugspitze (2962m)
Beiträge: 3047
Registriert: 22.11.2003 - 21:02
Skitage 25/26: 0
Ski: ja
Snowboard: nein
Ort: Zentralschweiz
Hat sich bedankt: 2 Mal
Danksagung erhalten: 14 Mal

Beitrag von lift-master »

genau,würde die sache ja einfacher machen
...willst du die berge sehn,dann mußt du zum schi fahrn gehn...
Benutzeravatar
Pilatus
Disteghil Sar (7885m)
Beiträge: 7955
Registriert: 30.11.2005 - 19:16
Skitage 25/26: 0
Ski: ja
Snowboard: nein
Hat sich bedankt: 491 Mal
Danksagung erhalten: 698 Mal

Beitrag von Pilatus »

Hier. Einmal original und einmal mit rot verdeutlicht.
Dateianhänge
flumserberg_bezeichnet.jpg
flumserberg.jpg

Benutzeravatar
lift-master
Zugspitze (2962m)
Beiträge: 3047
Registriert: 22.11.2003 - 21:02
Skitage 25/26: 0
Ski: ja
Snowboard: nein
Ort: Zentralschweiz
Hat sich bedankt: 2 Mal
Danksagung erhalten: 14 Mal

Beitrag von lift-master »

gut jetzt die frage,warum ist das teil rot angezeichnet(nicht dein rot)und alle anderen damaligen anlagen nicht,so wie zb. die sl prodalp,prodkamm etc.daraus lässt sich doch schliessen,das es damals wohl doch kein sl war,oder?????
...willst du die berge sehn,dann mußt du zum schi fahrn gehn...
Benutzeravatar
Pilatus
Disteghil Sar (7885m)
Beiträge: 7955
Registriert: 30.11.2005 - 19:16
Skitage 25/26: 0
Ski: ja
Snowboard: nein
Hat sich bedankt: 491 Mal
Danksagung erhalten: 698 Mal

Beitrag von Pilatus »

Doch, weil die Anlagen auf der Prodalp Kombibahnen waren. Und die gelten als Sessellifte und werden somit schwarz eingetragen. Reine Skilifte sind so orange-braun drin. Hat es zischen der Linie und den Querstrichen kleine Abstände, dann ist es eine Materialbahn (die Bahn die von Obersäss weggeht, ist eine Materialbahn).
Glaub mir, ich kann die Karte schon richtig lesen.
Benutzeravatar
TPD
Moderator
Beiträge: 6783
Registriert: 09.03.2003 - 10:32
Skitage 25/26: 0
Ski: ja
Snowboard: nein
Ort: (Region Bern)
Hat sich bedankt: 296 Mal
Danksagung erhalten: 190 Mal
Kontaktdaten:

Beitrag von TPD »

gut jetzt die frage,warum ist das teil rot angezeichnet
Weil dies die Signatur von einem Skilift ist.

Die schwarzen Linien sind Sessellifte, Gondelbahnen Pendelbahnen etc.
Aber wie schon gesagt, es gibt auch Landkarten da wurden Skilifte zu Sessellifte befördert. Darum vorsicht mit den Farben.
https://www.skichablais.net, seit 20 Jahren über Bergbahnen der Region Chablais und Umgebung.
Benutzeravatar
Pilatus
Disteghil Sar (7885m)
Beiträge: 7955
Registriert: 30.11.2005 - 19:16
Skitage 25/26: 0
Ski: ja
Snowboard: nein
Hat sich bedankt: 491 Mal
Danksagung erhalten: 698 Mal

Beitrag von Pilatus »

TPD hat geschrieben:
gut jetzt die frage,warum ist das teil rot angezeichnet
Weil dies die Signatur von einem Skilift ist.

Die schwarzen Linien sind Sessellifte, Gondelbahnen Pendelbahnen etc.
Aber wie schon gesagt, es gibt auch Landkarten da wurden Skilifte zu Sessellifte befördert. Darum vorsicht mit den Farben.
Das waren aber meistens Kombianlagen, und die sind immer als Sesselbahn drin. Und früher gabs von den Dingern mehr als man denkt.
Benutzeravatar
lift-master
Zugspitze (2962m)
Beiträge: 3047
Registriert: 22.11.2003 - 21:02
Skitage 25/26: 0
Ski: ja
Snowboard: nein
Ort: Zentralschweiz
Hat sich bedankt: 2 Mal
Danksagung erhalten: 14 Mal

Beitrag von lift-master »

ich will jetzt nicht dahin sagen,das die karten falsch gelesen werden,war jetzt nur so eine idee,weil in anderen karten mat.bahnen anders eingezeichnet werden.aber wir werden der sache schon auf den grund kommen :D
...willst du die berge sehn,dann mußt du zum schi fahrn gehn...
Benutzeravatar
TPD
Moderator
Beiträge: 6783
Registriert: 09.03.2003 - 10:32
Skitage 25/26: 0
Ski: ja
Snowboard: nein
Ort: (Region Bern)
Hat sich bedankt: 296 Mal
Danksagung erhalten: 190 Mal
Kontaktdaten:

Beitrag von TPD »

@pilatus
Mir ist schon klar, dass im Normalfall ein Kombilift als Sessellift eingezeichnet wird.
Aber ich habe auch schon Karten mit Gletschersessellifte gesehen...
Und da habe ich dann doch meine Zweifel.
https://www.skichablais.net, seit 20 Jahren über Bergbahnen der Region Chablais und Umgebung.
Benutzeravatar
Pilatus
Disteghil Sar (7885m)
Beiträge: 7955
Registriert: 30.11.2005 - 19:16
Skitage 25/26: 0
Ski: ja
Snowboard: nein
Hat sich bedankt: 491 Mal
Danksagung erhalten: 698 Mal

Beitrag von Pilatus »

Gut, wenns nicht grad eine von Zermatt war muss ich dir beipflichten. :wink:
Benutzeravatar
TPD
Moderator
Beiträge: 6783
Registriert: 09.03.2003 - 10:32
Skitage 25/26: 0
Ski: ja
Snowboard: nein
Ort: (Region Bern)
Hat sich bedankt: 296 Mal
Danksagung erhalten: 190 Mal
Kontaktdaten:

Beitrag von TPD »

^^
Kannst Dir ja ausdenken aus welchem Gebiet diese Karte war ;)
https://www.skichablais.net, seit 20 Jahren über Bergbahnen der Region Chablais und Umgebung.

Benutzeravatar
Pilatus
Disteghil Sar (7885m)
Beiträge: 7955
Registriert: 30.11.2005 - 19:16
Skitage 25/26: 0
Ski: ja
Snowboard: nein
Hat sich bedankt: 491 Mal
Danksagung erhalten: 698 Mal

Beitrag von Pilatus »

TPD hat geschrieben:^^
Kannst Dir ja ausdenken aus welchem Gebiet diese Karte war ;)
Auf dem Glacier 3000 habens also keine Gletschersesselbahnen :wink:
Benutzeravatar
TPD
Moderator
Beiträge: 6783
Registriert: 09.03.2003 - 10:32
Skitage 25/26: 0
Ski: ja
Snowboard: nein
Ort: (Region Bern)
Hat sich bedankt: 296 Mal
Danksagung erhalten: 190 Mal
Kontaktdaten:

Beitrag von TPD »

Auf dem Glacier 3000 habens also keine Gletschersesselbahnen Wink
Nein, haben sie nicht.
Oder der Gletschersessellift wurde durch ein Skilift ersetzt. ;)
https://www.skichablais.net, seit 20 Jahren über Bergbahnen der Region Chablais und Umgebung.
Benutzeravatar
j-p.m.
Großer Müggelberg (115m)
Beiträge: 445
Registriert: 31.07.2003 - 10:16
Skitage 25/26: 0
Ski: ja
Snowboard: nein
Ort: Zürich
Hat sich bedankt: 2 Mal
Danksagung erhalten: 221 Mal

Beitrag von j-p.m. »

Interessant auch:
Strecke Obersäss - Maschgenkamm als Materialseilbahn, dort stand der ESL, oder wahr es nicht es eine 2 KSB von Müller.
Bergheim Materialseilbahn, auf der Strecke des Skilifts.
Skilift Tannenboden - Chrüz gabs auch mal in gerader Linienführung. Von diesem Lift mit zwei Kurven war mir bisher nichts bekannt.
Benutzeravatar
Seebrünzler
Großer Müggelberg (115m)
Beiträge: 362
Registriert: 30.03.2004 - 01:26
Skitage 25/26: 0
Ski: nein
Snowboard: ja
Hat sich bedankt: 3 Mal
Danksagung erhalten: 0

Beitrag von Seebrünzler »

Als erstes Stand auf der Strecke von Tannenboden nach Chrüz ein Gürtellift (ab 1945).
Dateianhänge
Bild von www.tannenboden.ch
Bild von www.tannenboden.ch
skilift.jpg (10.14 KiB) 4249 mal betrachtet
Benutzeravatar
Pilatus
Disteghil Sar (7885m)
Beiträge: 7955
Registriert: 30.11.2005 - 19:16
Skitage 25/26: 0
Ski: ja
Snowboard: nein
Hat sich bedankt: 491 Mal
Danksagung erhalten: 698 Mal

Beitrag von Pilatus »

Das würde die Kurven erklären. Wer weiss mehr über die Müller KSB? Kenne nämlich das Gebiet überhaupt nicht, habe nur zufälligerweise eine uralte Karte.
Benutzeravatar
dani
Rigi-Kulm (1797m)
Beiträge: 1798
Registriert: 01.10.2002 - 23:18
Skitage 25/26: 0
Ski: ja
Snowboard: nein
Ort: Schwarzwald (Besenfeld)
Hat sich bedankt: 43 Mal
Danksagung erhalten: 12 Mal

Beitrag von dani »

finde das ganze schon etwas komisch. und warum auf der trasse gleich zwei kurven? die ist doch weder steil noch muß sie irgendwelche felsen, etc. umfahren.
anbei noch ein bild vom skilift bergheim
Bild
Benutzeravatar
Pilatus
Disteghil Sar (7885m)
Beiträge: 7955
Registriert: 30.11.2005 - 19:16
Skitage 25/26: 0
Ski: ja
Snowboard: nein
Hat sich bedankt: 491 Mal
Danksagung erhalten: 698 Mal

Beitrag von Pilatus »

^^ Der war soviel ich weiss von BMF.
Benutzeravatar
Zottel
Punta Indren (3250m)
Beiträge: 3331
Registriert: 13.03.2006 - 16:52
Skitage 25/26: 0
Ski: ja
Snowboard: nein
Ort: Bochum
Hat sich bedankt: 1636 Mal
Danksagung erhalten: 843 Mal

Beitrag von Zottel »

gibts noch mehr bilder vom skilift bergheim? würd mich interessieren.

Antworten

Zurück zu „Historisch + LSAP“